
当您收听收看到这样的台风预报时
您会不会有疑惑?
气象台的预报员们
是怎么知道台风的强度
又是如何洞悉台风的动向呢?
常用的卫星云图包括可见光图像、红外图像、水汽图像。
台风在卫星云图上表现为一个巨大的、呈螺旋状的云系。

上图为风云四号B星的可见光图像(波长0.45至0.75微米),它是太阳辐射经地—气系统散射或反射后到达卫星所得到的图像。图像中的灰度取决于地表或云的散射或反射系数。反射系数最大的为白色,反射系数最低的为黑色。在可见光云图中,较黑的色调代表低亮度,即反照率低,可能意味着云厚度较小、云中水含量较低,或者云滴的平均尺度较大;而较亮的色调则代表高亮度,通常与高反照率的云相关,这类云往往厚度较大、水含量较高,且云滴平均尺度较小。此外,图像中的亮度还取决于太阳光的强度以及太阳和卫星相对地球的位置,比如夜间就得不到可见光图像。


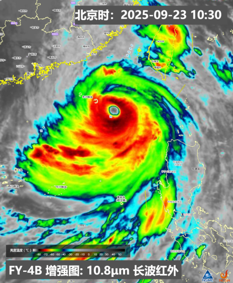
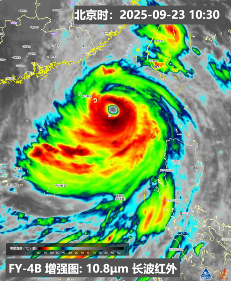
上图为风云四号B星的红外云图和红外增强云图,卫星成像仪对地球和大气扫描,观测扫描点上发射的长波红外辐射强度,根据反射辐射强度的不同而得到的云和地表的分布图像,就是红外云图。其波长范围位于10.3至11.3微米之间。在一般的红外云图中,浅色调区域代表着较小的红外辐射和较低的温度,而暗色调区域则表示红外辐射强烈、温度较高。云顶越高,其温度越低,在红外云图上会呈现出更白的色调。而在红外增强云图中能够进一步凸显台风的结构特征,红外增强云图中主要关注-20至-80℃的亮温区间,颜色越偏暖偏红,说明亮温越低,对流发展越旺盛,颜色越偏冷偏蓝,则说明亮温越高。

上图为风云四号B星的水汽图像,其波长范围位于6.3至7.6微米之间,主要反映的是400百帕至600百帕高度范围内的水汽情况。它是根据水汽在非大气窗区的水汽波段上所发射的辐射得到的,大气低层的水汽辐射一般达不到外空,可以用水汽图像作为大尺度流场的示踪物。若对流层上部是湿的,那么到达卫星的辐射主要来自这一(冷)区域,并表现为白色,与红外图像的表达方式一致。仅当对流层上部是干燥的时候,较暖的对流层中部的水汽发射的辐射才能到达卫星,在图像上表现为稍暗的色调。
了解了卫星的工作原理
我们再来看看
海洋观测和雷达
如何监测台风的强度与结构
这是
23日上午9时54分
中央气象台
台风路径结合
多源观测产品的综合图
产品特点与侧重点:台风风圈产品融合多源观测数据可以实时监测台风大风区分布、台风沿海风力影响。浮标作为海上几乎唯一的实测数据,为台风定强及预报检验订正提供重要支撑。海洋观测风速及气压可作为台风强度重要指标,同时波高则表征风暴潮等台风灾害所带来的主要影响。

左图不同填色代表不同风圈等级,右侧为单站时序图重点关注气压变化(红色曲线)、风速变化(蓝色矢量)。
监测结果:23日9时54分,超强台风“桦加沙” 最大出现16级风圈,大风区集中在台风中心东侧。东沙海洋气象浮标站和海峡2号浮标站自2时起风速不断增大,波高不断增加。东沙海洋气象浮标站风速最大达22.2米/秒。海峡2号浮标站最大波高达7.9米。

产品特点与侧重点:天气雷达组合反射率拼图产品可以实时监测台风结构特征以及外围雨带对流强度、影响区域。
填色代表回波强度,一定程度表征台风核心区与外围雨带对流活动。
监测结果:23日10时,超强台风“桦加沙”中心西北方向有多螺旋雨带结构,自台风中心向外不断向外移动。外围雨带为台湾、福建等地带来降水影响。
文章来源:原刊于“中国气象局”,资料整理自中央气象台、国家卫星气象中心、中国气象局气象探测中心,转载请注明原出处及由中国海洋发展研究中心编排

